Back to property search

Property – The Street, Thorpe Abbotts

Asking Price £150,000

Property Details

Building plot located in popular, peaceful village of Thorpe Abbotts. Non-estate position. With historical full planning permission granted for 3 bedroom detached house. Call our sales office for further information. Location
Thorpe Abbotts is a small, quiet village found just a mile north of the A143 and is famed for its former RAF airbase and 100th Bomber group, which had a significant involvement in D-day and the Second World War. The village provides good access to two main roads, the A143 and the A140, which runs towards both Diss and Norwich.
The market town of Diss is just 6 miles away and hosts a good range of shops (both independent and national retailers), local businesses, cafes, public houses and restaurants. As you would expect, primary and secondary schooling is available in the town, along with transport links which include local bus connections and a mainline railway station on the Norwich to London Liverpool St line.

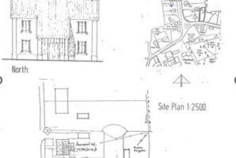
The scheme
Full planning permission was granted for a 3 bedroom detached house with front and rear garden.

Planning ref: 07/89/0115/F
The planning permission was granted in 1989, so there is no active record available on the South Norfolk planning portal.
We have been informed by the seller that the instillation of a private treatment plant a number of years ago constituted the start of the development.

Important agents note:
The sellers intend on retaining an access strip to the north side of the proposed new build house which formed part of the originally planning application in 1989 - the retained access runs through land where a single garage had permission to be sited. As a consequence, the garage can no longer be built as part of the current permission, however, the sellers are open to potentially agreeing a sale, with the exchange of contracts being conditional on planning amendments for alternative parking arrangements being granted (this would be via a variation of condition application to South Norfolk Council planning department).

Please contact our sales office (01379 641341) with any further questions/queries.

How to get there:
What3words: ///acoustics.novel.decently

Viewing
Brochure in hand during daylight hours

Freehold

Ref: 2/19907/RM
x

Book a Viewing

Your details

Your address

Please note by submitting your details you are agreeing for TW Gaze to store your data in order to process your enquiry and that you have read our Privacy Policy.

Call 01379 641 341 for more details on this property

Book a Viewing